

DUNES EDGE A Custom Home Development by SCOTT Premier Homes COMING SOON

SCOTT Premier Homes is currently in development to continue and exceed expectations through innovative design, engineering, craftsmanship and unparalleled customer service in the New DUNES EDGE Residential Community in Bridgman, Michigan on the EDGE of the renowned LOST DUNES Golf Club.
​
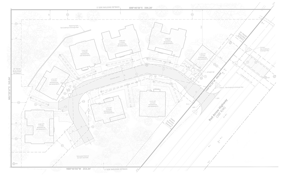
Seven state of the art innovative custom homes designed with the most current home technologies available in todays housing market.
​
Lot 1
• 2,808 sq ft Ranch​
​
Lot 2
• 2,808 sq ft Ranch
​
Lot 3
• 2,213 sq ft Ranch
​
Lot 4
• 1,713 sq ft 2 Story
​
Lot 5
• 2,808 sq ft Ranch
​
Lot 6
• 1,713 sq ft 2 Story
​
Lot 7
• 2,213 sq ft Ranch


COMING SOON
SCOTT Premier Homes is currently scheduled for construction on the new and exciting DUNES EDGE Custom Residential Development located on the Edge of the renowned LOST DUNES Golf Club in Bridgman, MI. featuring
State of the Art home building technologies along with Premier Design and Unparalleled Craftsmanship.
